Notice of intention to declare surplus and dispose of municipal property: Nov. 12
Pursuant to the City’s Public Notice Policy and the Real Property Acquisition and Disposition Policy and Procedure take notice that the council of the Corporation of the City of Kingston intends to declare surplus and dispose of the following municipal property:
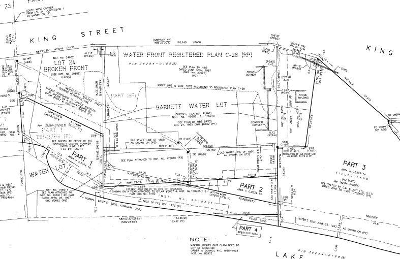
Lands affected: The City is the registered owner of certain lands in the City of Kingston comprising parts of water lots and part of the bed of Lake Ontario designated as Parts 11, 15, 16, 17, 18, 19, 20 and 21 on the reference plan 13R-23397, being portions of PINs 36264-0166(LT), 36264-0244(LT) and 36264-0243(LT)
Queen’s is the registered owner of certain lands in the City of Kingston adjacent to the City Lands designated as Parts 1, 2, 3, 4, 5, 6, 8, 10 and 14 on reference plan 13R-23397, being portions of PIN 36264-0166(LT)
Explanatory note: The City and Queen’s have determined that the ownership and orderly development of their respective lands will be best facilitated through an exchange of lands, including through certain fee simple conveyances and through the grant of certain perpetual easements over portions of their respective lands. The City proposes to dispose and swap lands so as each entity has appropriate control over infrastructure owned by the respective parties. This will allow both parties to have better planning for the lands in the future to create future sidewalks and lighting projects.
The City purchased part 2 on plan 13R-16154 from federal government, represented by Transport Canada, which will be used as part of the upgrade to the waterfront pathway in the area. With this purchase the City also obtained a portion of the parking lot at the Queen’s steam plant that the city has had a short term 2-year lease back to Queen’s for use of the parking spaces. The City proposes to license the smaller retained portion of the parking lot lands until such time that the City will move forward with the pathway project.
City council will consider a motion to declare the property surplus on December 2, 2025 at 7:00 p.m. at its regular meeting to be held in the Council Chambers, City Hall, 216 Ontario St., Kingston.
Anyone wishing to be heard regarding these matters should contact the clerk’s office or provide written comments before 4:30 p.m., December 1, 2025
In the event that the matter is deferred, no further public notice will be given.
Dated at City of Kingston
this 12th day of November 2025
Janet Jaynes, City Clerk
City of Kingston
Subject property shown below


Contact Us
City of Kingston
City Hall
216 Ontario Street
Kingston, ON K7L 2Z3
Canada
contactus@cityofkingston.ca
Phone: 613-546-0000
The City of Kingston acknowledges that we are on the traditional homeland of the Anishinabek, Haudenosaunee, and the Huron-Wendat, and thanks these nations for their care and stewardship over this shared land.
Today, the City is committed to working with Indigenous peoples and all residents to pursue a united path of reconciliation.
Learn more about the City's reconciliation initiatives.